Submitted  Zoning Applications

 Plan Number: ZA4260

Application Date: 10/23/25

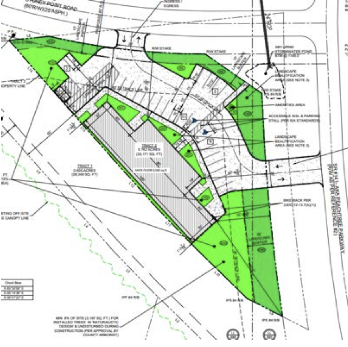
Address: southwest corner of Stoney Point and 141

Parcel Number: 109 024

Acres: 1.367

Applicant: Sai Jitta

Zoning Attorney:  N/A

Current and Proposed Zoning:  Rezone from O&I to CBD

Suspected Use: Retail/Restaurant space  



Plan Number: ZA4253

Application Date: 10/02/25

Address: 4987 Piney Grove Rd

Parcel Number: 130 015

Acres: 21.652

Applicant: HREP Acquistions LLC

Zoning Attorney:  Sean Courtney - Lipscomb Johnson LLP

Current and Proposed Zoning:  Rezone from A1 to M1

Suspected Use: Warehouse Space 


Plan Number: ZA4254

Application Date: 10/03/25

Address: 4040 Browns Bridge Rd

Parcel Number: 239 305

Acres: 21.24

Applicant: Austin Edelen

Zoning Attorney:  N/A

Current and Proposed Zoning:  Rezone from A1 to CBD with a CUP for vehicle rental establishment

Suspected Use: Home Depot location 


Plan Number: ZA4255

Application Date: 10/03/25

Address: 3747 Atlanta Hwy

Parcel Number: 061 025

Acres: 5.84

Applicant: Tony C. Amburgy

Zoning Attorney:  Christopher Light - Bettis MusgroveLLC

Current and Proposed Zoning:  Rezone from R1 and CBD to CBD with a CUP for self storage

Suspected Use: Self storage



Plan Number: ZA4256

Application Date: 10/03/25

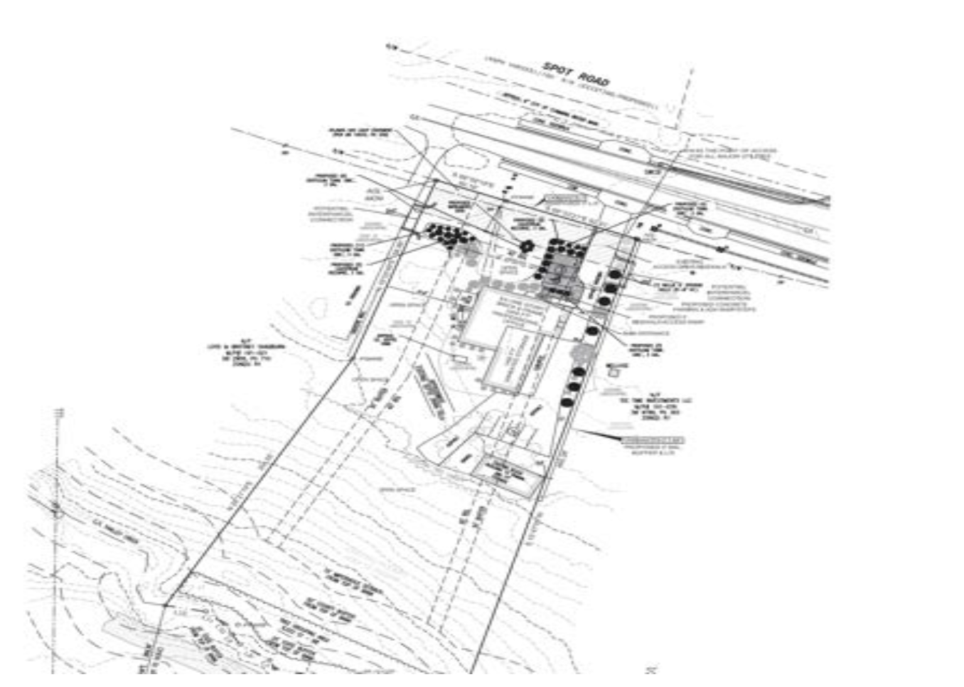
Address: 4515 Spot Rd

Parcel Number: 149 022

Acres: 11.480

Applicant: Michael Ingram 

Zoning Attorney:  Ethan Underwood - Underwood Scoggins LLC

Current and Proposed Zoning:  Rezone from A1 and CBD to M1 with a CUP for self storage

Suspected Use: Vehicle towing facility 

Approved  Zoning Applications

Plan Number: ZA4223

Application Date: 03/07/2025

Address: 2675 Spot Rd

Parcel Number: 191 079

Acres: 1.728

Applicant: Coal Mountain Spot LLC

Zoning Attorney:  Ethan Underwood - Underwood Scoggins LLC

Current and Proposed Zoning:  Rezone from R1 to O&I

Suspected Use: Office Space 


Plan Number: ZA4243

Application Date: 06/23/2025

Address: 5878 Atlanta Hwy 

Parcel Number: 018 049

Acres: 11.28

Applicant: Lake Lanier Storage Partners LLC

Zoning Attorney:  Sean Courtney - Lipscomb Johnson LLP  

Current and Proposed Zoning: Rezone from R1 and A1 to M1

Suspected Use: Storage and Warehousing


Plan Number: ZA4244

Application Date: 07/03/25

Address: 2340 Ronald Regan Blvd 

Parcel Number: 132 059

Acres: 7.93

Applicant: Oakley Capital Partners LLC

Zoning Attorney:  Ethan Underwood - Underwood Scoggins LLC 

Current and Proposed Zoning: Rezone from A1 to M1

Suspected Use: Warehouse  


Plan Number: ZA4245

Application Date: 07/03/25

Address: 1225 Timber Lake Trl  

Parcel Number: 198 223

Acres: 4.262

Applicant: Tony Brown Custom Homes, LLC

Zoning Attorney:  Ethan Underwood - Underwood Scoggins LLC  

Current and Proposed Zoning: Rezone from LR and R2R to A1

Suspected Use: Build 4 custom homes